A Hurricane’s Contentious Collateral Damage

Hurricane Irma
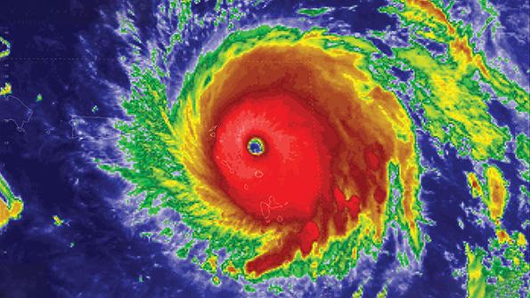
Hurricane Irma at 5:45 a.m. UTC on Sept. 6, 2017.
Credit: National Hurricane Center
“What part of ‘No’ don’t you understand?” Lorrie Morgan’s hit country single of long ago might well have served as mood music this past December during jury deliberations at the Boone County (Kentucky) Courthouse. Under consideration were the particulars of a job termination that occurred four years...
William Garvey

Bill was Editor-in-Chief of Business & Commercial Aviation from 2000 to 2020. During his stewardship, the monthly magazine received scores of awards for editorial excellence.

Subscription Required

 

This content requires a subscription to one of the Aviation Week Intelligence Network (AWIN) bundles.

Schedule a demo today to find out how you can access this content and similar content related to your area of the global aviation industry.

Already an AWIN subscriber? Login

 

Did you know?  Aviation Week has won top honors multiple times in the Jesse H. Neal National Business Journalism Awards, the business-to-business media equivalent of the Pulitzer Prizes.